포항 신항만 제트호 입니다.
오늘 목요일~ 신나게 잡고 또잡고~,
씨알좋은 도다리 참가자미로 마릿수 재미최고!!
내일 금요일~ 오전9시 예약가능
- 출조 날짜
- 2026년 03월 19일
- 출조 인원
- 12명
- 어종
- 도다리,가자미
♡포항 선상낚시 전문 선사♡
"바다 선상낚시 가고플때~!!"
*제트호*
♤ 예약 문의 ♤
010-3108-1887
"포항 제트호"
9.77톤 대형 선상낚시 전용선
(승선정원 22명)
☆ 포항 제트호!! 를 소개합니다!! ☆
☞ 9.77톤의 멋진 선상낚시 전문 낚시배 입니다.
☞ 4계절 낚시가능!!(몸만 오셔도 즐길 수 있어요~)
☞ 넓은 휴식공간과 편의시설이 완비!!
☞ 깔끔한 수세식 화장실(여성분들의 걱정 노노~!!)
☞ 승객 안전 해상보험 100% 가입완료
포항 제트호!! 가 있는 포항 영일만항!!!
** 포항 IC에서 선박까지~ 약 15분내 도착하는곳!!
(도로상황 넓고 좋은 포항 최고의 항구)
** 대구 경북권 최고의 선상낚시 핫플레이스
** 선박 바로앞에 넓은 주차장으로 편의성 최고!!
** 다양한 낚시 포인트의 중심지인 포항신항만 이지요!!
(넓고 다양한 포인트로 갈수 있는 최적지!)
** 항구 주변 편의시설이 제일 우수!! 편의점, 횟집, 등등~
● 제트호 홈페이지 ●
http://blog.naver.com/whitesky38
● 포항제트호 밴드 ●
** 밴드 가입하시면, 빠른조황 확인 및 예약 가능**
♣예약은 전화 또는 메세지 주세요!! ♣
친절 여사무장 : 010-5417-1887
감사합니다!!♡
선상낚시 오실때 숙박예약도 함께하세요!
▶바닷가 오션뷰가 멋진 감성펜션 연계해드립니다.
▶제트호 이용시 특별할인 적용!!
▶선상낚시와 숙박을 한번에 빠르게 예약가능!!
▶포항 신항만에서 15분거리 위치!!
▶기본 2인부터 단체(10인)까지 한번에 숙박가능!

숙박시설을 찾으시는 분들께
포항 제트호에서 바닷가 오션뷰펜션을
특별할인 해드립니다^^

포항선상낚시와 바닷가 펜션 예약을 한번에!!
포항 유일 제트호에서만 가능!!해요~
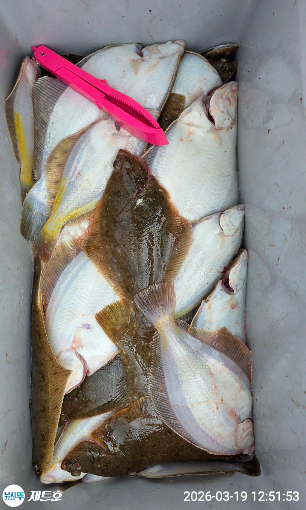
도다리 참가자미!! 3.19(목) 최종 조황입니다^^
** 내일 금요일 오전 9시출항 여유자리 많아요~~ **
오늘 목요일~ 첫포인트부터 따박따박~~~ 오늘은 전체적으로 사이즈가 좋아지네요^^
오신분들 부지런히 시간가는줄 모르고, 열심히 낚시해주셔서~
사이즈 좋은 녀석들로~ 묵직하니 잡고 왔어요.
오늘은 바람이 예보보다 강하게 들어오면서, 조금 불편함은 있었지만~ 입질이 꾸준하게 이어져서, 끝까지 마릿수 채우고~
안전하게 입항했습니다.
도다리 참가자미 씨알이 대부분 좋아서 묵직한 손맛 많이 보셨네요^^
내일 금요일~~ 기상좋으니~~도다리 참가자미 잡으러 오세요 ^^
오전9시 출발~ 느긋하게 한타임 즐길수 있어요 ^^
.
올해부터, 스팽커(풍 돛) 장착하니, 배가 바람에 돌지않고, 빠른 포인트 이동과, 더욱 안정적이고 편한 낚시를 즐기실 수 있습니다.
포항 신항만 제트호로 놀러오세요 ^^
.
초보자도 아주 쉽고 편하게 할수 있는~ 대표장르~~!!
미끼, 바늘, 채비, 추까지 몽땅 무료제공되니~
준비가 번거롭지 않아~ 남녀노소~ 편하게~~ 놀러오세요 !!
.
포항 제트호 예약문의는 친절한 여사무장에게~^^
* 010-3108-1887 (예약담당 친절 여사무장^^)
※ 펜션 문의도 한번에 하시면 되세요!!
* 부재시 선장에게!! 010-5417-1887
.
*도다리&참가자미
선비 7만원 / 낚시대 대여 1만원
(채비, 미끼, 바늘, 추 모두 무료 제공)
☆_______________________
※※ 저희 제트호는 펜션까지 함께 운영하니, 가족 친구 단체 야유회하시는분들~ 한꺼번에 편하게 예약하세요~
-- 바닷가 오션뷰가 쫙 보이는 조용하고 한적하게 즐길수 있어요.
또한 선상낚시 이용시 펜션을 함께 예약하시면 더욱 저렴하게 모십니다.(펜션 전화 문의 : 010-3108-1887)
☆_______________________
● 출항 일정 ●
.
* 3/20(금)
-- 오전 9시 ~ 오후 2시 >> 도다리&참가자미 여유석 12석
.
* 3/21(토)
-- 오전 7시 ~ 오후 12시 >> 도다리&참가자미 완료
-- 오후 1시 ~ 오후 6시 >> 도다리&참가자미 여유석 5석
.
* 3/22(일)
-- 오전 7시 ~ 오후 12시 >> 도다리&참가자미 여유석 8석
-- 오후 1시 ~ 오후 6시 >> 도다리&참가자미 여유석~
.
* 3/23(월)
-- 휴항
.
* 3/24(화)
-- 오전 9시 ~ 오후 2시 >> 도다리&참가자미 여유석 널널~
.
※ 차후 일정도 쭉 예약가능하세요.
※ 단체 독배 환영합니다.
☆_______________________
♧ 예약 문의 : 010-3108-1887 제트호 친절 여 사무장 ♧
☆_______________________
● 선상낚시 예약시 참고사항
** 예약은 전화나, 메세지로 예약주세요.
** 예약 후 반드시 입금하셔야 예약완료 됩니다.
※※ 승선인원 정원이 정해져 있으므로 입금지연, 미입금 시에는 자동 예약취소 될 수 있습니다.
※※ 예약후 미입금, 연락두절로 당일 노쇼가 많아서 이렇게 공지해드리니, 꼭 확인바랍니다.
☆___________________________
※ 자세한 출항일정은 꼭 예약현황 확인하시고 예약바랍니다.
※ 모든 출항은 전날까지 기상확인 후 출항 결정됩니다!!
※ 출항 30분전까지 배에 탑승 후 승선명부 작성!!(시간 엄수)
☆___________________________
● 도다리 & 참가자미 낚시(왕쭈꾸미 낚시 병행가능)
* 선비 : 7만원 (도다리 채비, 미끼, 바늘 무제한 제공)
* 낚시대 대여 1만원 / 파손 및 수장 시 본인 전액 변상!!
※※ 쭈꾸미 장비 및 채비는 개인준비 (대여X)
* 출항 시간
-- 평일 : 오전 9시 ~ 오후 2시 한타임
-- 주말 : 오전 7시 ~ 오후 12시 입항
오후 1시 ~ 오후 6시 입항
* 추 50호 사용 / 원줄은 합사 1호~ 3호
※ 개인장비 사용시 참고!!
-- 50호 추에 파이프편대 채비로, 바닥에서 살짝살짝 들어주는 액션만 하기 때문에 큰부하가 없습니다.
-- 개인장비 가져오시는 분들은 왠만한 로드는 사용 가능합니다.(문어대, 지깅대, 다운샷, 타이라바 등),
-- 길이가 길수록 낚시에 불편 할 수 있으니 2미터 전후의 낚시대 사용은 추천 드립니다.
-- 원줄은 합사 1~3호 정도 사용하시면 됩니다..
☆_______________________
● 선사 무료제공 ●
** 컵라면, 커피믹스, 생수 무료제공
** 팽창식 구명조끼 무료대여
☆______________________
☆_______________________
● 예약 문의는?
-- 예약전문 여사무장 : 010-3108-1887
-- 제트호 선장 : 010-5417-1887
※ 전화나, 메세지로 이용 날짜와 인원 말씀해주시면 되세요.
※ 부재중일시~메세지 남겨주시면 확인후 연락드립니다.
☆___________________________
♧ 제트호의 특별함을 아시나요?
-- 포항 선상낚시 배 유일~하게 !!!
선상낚시와 펜션숙박까지 한번에 예약가능하다는 사실!!!
※※ 한꺼번에 예약하면 더~ 저렴하다는 점!!^^
-- 가족, 친구, 연인들의 여행코스로 딱 좋습니다.
-- 선상낚시 예약시 펜션을 함께 예약하시면 숙박료 할인.
※※ 기존금액에서 평일 30%, 주말 20% 할인 해드려요!!
-- 펜션 기존가격은 네이버 더좋은아침펜션 검색후 가격 확인
-- 즐거운 선상낚시로 즐거움을 잡고, 오션뷰 펜션에서 여유를 즐기면서 힐링하는 여행 추천드려요^^
.
※ 단, 기상불량으로 선상낚시 출항이 취소되어도, 펜션은 취소가 어려울 수 있으니, 신중한 예약 부탁드립니다^^
☆
포항선상낚시 핫플레이스 제트호로 놀러 오세요^^
포항바다 오셔서 스트레스 풀고, 즐거운 추억 만들어보세요.
늘 안전과 즐거움을 위해 최선을 다하는 선장이 되겠습니다^^
☆______________________
● 오시는 주소(배 정박지) ●
-- 경북 포항시 북구 흥해읍 용한리 7-6번지
(도로명 : 경북 포항시 북구 흥해읍 영일만항로 111-1)
** 배에 오셔서 승선명부 작성합니다.
※ 네비검색시 : 경북어업기술센터, GS25 포항신항만점
(그럼 항입구 도착가능하세요^^)
.
#포항선상낚시 #제트호 #도다리선상낚시 #포항배낚시 #바다낚시 #영일만항 #포항바다낚시 #포항체험 #동해바다낚시 #동해배낚시 #동해선상낚시 #이색체험 #팁런 #무늬오징어낚시 #포항팁런낚시 #튜나 #참다랑어 #에깅낚시 #포항낚시 #야간낚시
● 포항제트호 밴드 ●
http://band.us/@jetfishing1pohang











































- 출조 장소

☆예약 / 문의 ☆
예약담당 친절 여사무장 : 010-3108-1887
* 예약은 전화, 문자로 편하게 주시면 됩니다 *
● 계절별 어종 안내 ●
12월 ~ 2월 : 열기 & 볼락 외줄
3월 ~ 6월 : 도다리 & 참가자미
6월 ~ 7월 : 야간 화살촉 오징어
7월 ~ 10월 : 돌문어 낚시
9월 ~ 1월 : 삼치 & 방어 루어낚시
9월 ~ 11월 : 무늬오징어 팁런(야간)
● 개인 준비물 ●
** 쿨러(아이스박스), 얼음(꼭), 신분증
** 모자, 손닦을수건(물티슈), 손질용 칼, 개인 간식거리
** 신분증은 꼭 지참하세요!!
** 배에서 술은 법으로 금지되었습니다.(절대 X)
● 배에서 제공되는 무료 서비스 ●
** 커피, 생수, 컵라면, 장갑 제공
(넓은 실내 탕비실에 가스렌지 설치됨)
** 팽창식 구명조끼 무상대여!!(활동성, 착용감 최고)
※ 절대 임의로 당기시면 안되요!!(절대 주의)
(가스 교체비용이 개인에게 부과됩니다)
**고기 집게, 바늘빼는 플라이어, 고무망치, 시메용 칼, 개인 해수쿨러(고정식)
※ 참고사항 ※
개인 간식, 음료, 얼음 등 개인 필요한 물품은
신항만 입구에 오시면 편의점 있습니다.
● 환불 규정(예약시 반드시 확인)** 기상악화 특보(태풍, 풍랑주의보등)시 전액 환불!!** 선장님 판단하에 기상불량으로 취소시 전액환불!!** 개인사정으로 취소시(환불기준 꼭 확인해주세요)-- 출조 5일전까지 취소시 100% 환불-- 출조 4일전까지 취소시 80% 환불.-- 출조 3일전까지 취소시 50% 환불-- 출조 2일전 ~ 당일 취소시 환불 및 일정변경 불가
제 트 호
● 예약 문의 ●
친절 여사무장 : 010-3108-1887
♡ 선박 위치 주소 ♡
경북 포항시 북구 흥해읍 용한리 7-6번지


