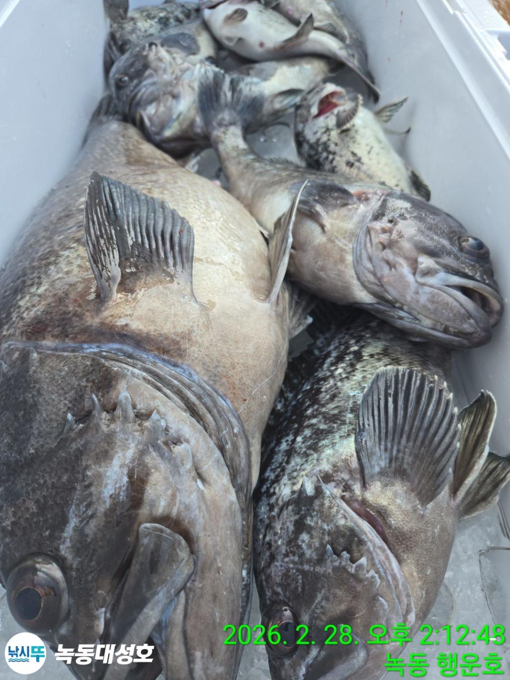
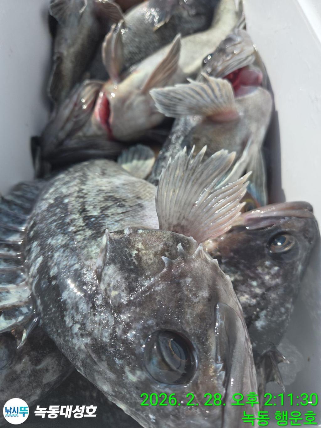
기상방해도 많고 수온변화도 많아서 요즘 힘든바다를 마주하고있죠 ~ 적든 많든 ~!! 귀한 반가움입니다 ^^ 씨알좋고 말입니다
- 출조 날짜
- 2026년 03월 01일
- 출조 인원
- 20명
- 어종
- 우럭,열기
녹동 대성호
바다와 한 평생을 살아오신 갈치전문 베테랑 선주/선장님이 직접 운영하여 마인드가 다릅니다.
문의
010-9437-8600
전남 고흥군 도양읍 비봉로 198-21
♡ 함께하여 주신 울 조사님 모두 ~
먼길 , 수고 많으셨습니다










































- 출조 장소
♡ 3월 / 출발 해 보아요 ^^
♡ 최고를위한 최선으로 ~!!
좋은 동행 약속 드립니다 ^^
대성호 / 행운호
(장남) (차남)
** 010 9437 8600 **


